|
| |

|
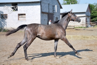
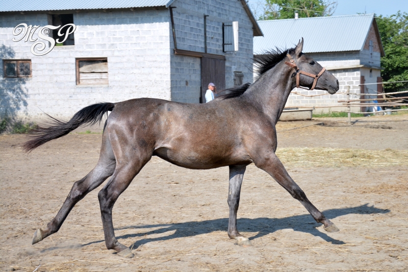
PUTIN
ogier rasy małopolskiej
Ur. 08/2013, hod. i własność Zdzisław Szczepanek
matka: PILICA młp ( PLANCYNA młp - ARCUS xx )
ojciec: SEX młp ( SONIA młp - FIRST DES TERMES xo )
Paszport POL616006550075213
Piękny, siwy, przyszłościowy młody ogier.
Poprawnej budowy, z bardzo dobrym ruchem.
Z przeznaczeniem do hodowli i sportu (skoki, WKKW).
Nie jest zajeżdżony.
Ojciec - wyśmienity ogier SEX, wybitny w zakładzie
treningowym i z bdb osiągnięciami w sporcie
Matka PILICA po wybitnym ogierze ARCUS xx.
Konik prosto od hodowcy.
Cena: 7000 zł. Możliwość transportu.
Baza Koni
Rodowód
Foto galeria
|
W rodowodzie Putina:



foto wykorzystane z www.bazakoni.pl
|
SEX
Ogier rasy małopolskiej
( SONIA młp - FIRST DES TERMES xo )
Ur. 01.01.2004, hod: Z. Szczepanek
Nr wpisu do księgi: 343 G Kl
Wymiary: 167-198-20.5 cm
Bonitacja: 83 pkt.
Sex to wybitny koń o sportowych predyspozycjach i urodzie.
ZT Bogusławice ukończył na 1 miejscu z oceną wybitną.
Bdb wyniki osiągał w WKKW pod Kamilem Rajnertem, min:
2 miejsce - ZO -C-Biały Bór
3 miejsce - MPMK-C Biały Bór 6-latki
1 miejsce - CIC Sopot CNC*
2 miejsce - CIC2*/CIC1* Biały Bór
złoty medalista KWZH Poznań
Champion Młodzieżowego Championatu Koni
Małopolskich w Opatowcu.
Sex pochodzi z bardzo zasłużonej kieleckiej linii
żeńskiej - tzw. "Linii Kasperkowej".
Matka Sexa, klacz Sonia jest córką bardzo urodziwego,
zasłużonego dla hodowli ogiera Elam.
Baza Koni
Rodowód
|

foto Edyta Trojańska,
wykorzystane z www.janow.arabians.pl
|
FIRST DES TERMES
Ogier rasy xo
( ETOILE FESTIVALE xo - FOL AVRIL xxoo )
Ur. 01.03.1993, hod: Ballot Jean / Francja
Nr wpisu do księgi: 2347
Wymiary: 167-194-20.5 cm
Bonitacja: 80 pkt. (14-4-13-6-7-7-15-14)
06.08.1997 11-m-czny test w ZT Kwidzyn ukończył
z oceną wybitną - 93,79 pkt.
First des Termes, posiada w rodowodzie tak znakomite
francuskie konie, jak Arlequin czy Nithard, które to
zostawiły po sobie znakomite potomstwo.
Baza Koni
Rodowód
|

foto wykorzystane z www.bazakoni.pl
|
ELAM
Ogier rasy młp
( JAM młp - ELMA młp )
Ur. 1985, hod SK Stubno
Nr wpisu do księgi: 822
Wymiary: 167-200-22 cm
Bonitacja: 84 pkt.
Champion ogierów małopolskich na V KWZH
w 1989 w Warszawie.
Bardzo urodziwy i w hodowli, który posiada
cenną krew Przedświtów.
Baza Koni
Rodowód
|

foto: Monika Sawczyszyn-Pawlus
|
PILICA
Klacz rasy małopolskiej
( PLANCYNA młp - ARCUS xx )
Ur. 2000, hod: Bogusław Dąbrowski
Nr wpisu do księgi: 1117 G Kl
Paszport POL006550025800
Baza Koni
Rodowód
|

foto: Zofia Raczkowska,
wykorzystane z www.bazakoni.pl
|
ARCUS xx
Ogier rasy pełnej krwi angielskiej xx
( ARKADA xx - CROSS xx )
ur. 05.03.1978, hodowla: SK Rzeczna
Nr wpisu do księgi: 458; PSB XIII 42
Wymiary: 164-187-21 cm,
Bonitacja: 79 pkt.
Pięknie umaszczony, wyśmienity skoczek.
Z powodzeniem startował pod Grzegorzem Kubiakiem.
W zawodach MP i CSIO zajmował czołowe miejsca (1-4m)
Baza Koni
Rodowód
|
|